توربین‌های مقاوم در برابر طوفان: نبرد مهندسی چین با خشم طبیعت
کد خبر : ۸۰۹۳۷۹
|
تاریخ : ۱۴۰۴/۰۷/۱۸
-
زمان : ۲۲:۲۰
|
دسته بندی: فناوری

توربین‌های مقاوم در برابر طوفان: نبرد مهندسی چین با خشم طبیعت

چین در تلاش برای ساخت نسل جدیدی از مزارع بادی هست که نه‌تنها دربرابر طوفان‌های استوایی دوام بیاورند، بلکه بتوانند از انرژی طوفان‌ها نیز بهره‌مند شوند.

خلاصه مقاله:

  • چین در استان گوانگ‌دونگ با نصب صدها توربین بادی فراساحلی در دریای جنوبی، تلاش انجام می‌دهد برق مورد نیاز خانه‌ها و کارخانه‌ها را از انرژی پاک تأمین کند. چندین از این توربین‌ها ارتفاعی برابر با یک ساختمان ۳۰ طبقه دارند و استان گوانگ‌دونگ اکنون میزبان حدود ۱۵ درصد از کل توربین‌های بادی دریایی جهان هست.
  • یکی از بزرگ‌ترین چالش‌های این توربین‌ها، طوفان‌های استوایی یا تیفون‌ها هست. بادهای شدید امکان داردند پره‌ها و برج‌ها را تخریب کرده و خسارات مالی و جانی ایجاد کنند. برای مقابله با این تهدید، چین توربین‌هایی با پایه‌های شناور، پره‌های انعطاف‌پذیر و بتن فوق‌مقاوم طراحی کرده هست.
  • با وجود موفقیت‌ها، چالش‌ها همچنان باقی هست. توربین‌ها باید در برابر تشدید سریع طوفان‌ها به خاطر تغییرات اقلیمی مقاوم باشند و تولیدکنندگان ملزم به طراحی قطعات قابل تعویض هستند. تجربه چین در این زمینه امکان داردد الگویی مهم برای کشورهای دیگر باشد تا با بهره‌گیری از انرژی بادی فراساحلی، برق پاک تولید کنند و در عین حال زیرساخت‌های خود را ایمن نگه دارند.

در استان گوانگ‌دونگ در جنوب چین، چشم‌انداز تازه‌ای در دریا در حال شکل‌گیری هست؛ صدها توربین بادی در دریای جنوبی چین نصب شده‌اند تا برق تجدیدپذیر مورد نیاز خانه‌ها، اداره‌ها و کارخانه‌ها را تأمین کنند.

برج‌های عظیمی که چندین از آن‌ها ارتفاعی برابر با ارتفاع یک ساختمان ۳۰ طبقه دارند، نمادی از بلندپروازی چین برای دستیابی به آینده‌ای سبزتر هستند.

استان گوانگ‌دونگ، یکی از قطب‌های اصلی انرژی بادی فراساحلی (دریایی) در چین، هم‌اکنون میزبان حدود ۱۵ درصد از کل توربین‌های بادی دریایی نصب‌شده در جهان هست. دولت محلی قصد دارد طی پنج سال آینده، شمار این توربین‌ها را بیش از دو برابر کند.

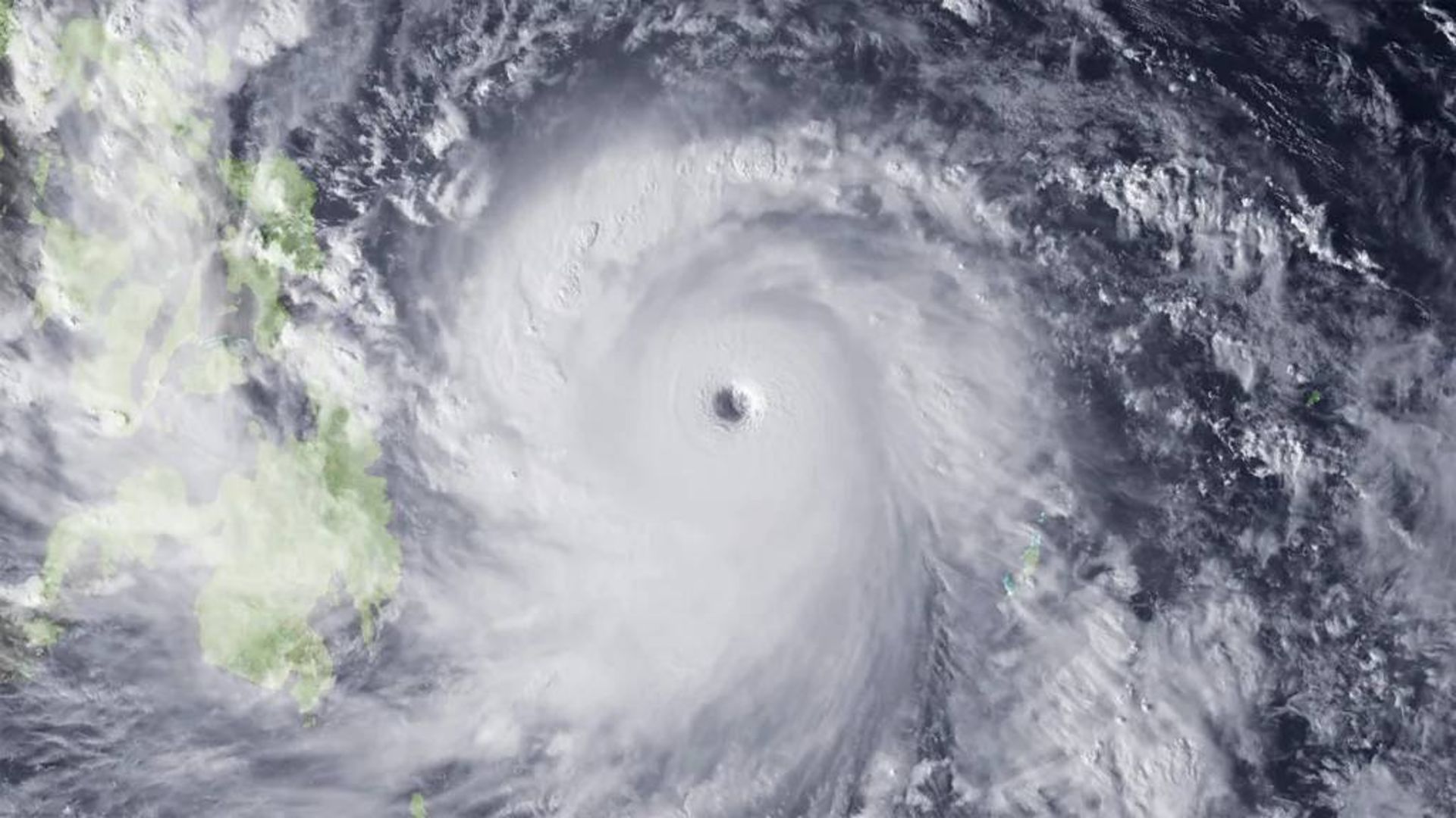
این توربین‌ها در خط مقدم مقابله با یکی از مخرب‌ترین پدیده‌های جوی زمین قرار دارند؛ پدیده‌ای که هر ساله سواحل چین را در می‌نوردد: تیفون‌ها یا همان طوفان‌های استوایی که از شمال‌غرب اقیانوس آرام سرچشمه می‌گیرند.

به‌طور میانگین، یک مزرعه بادی دریایی در چین در طول عمر خود حداقل ۱۰۰ طوفان استوایی را تجربه انجام می‌دهد

این طوفان‌های قدرتمند با سرعت بادهایی برابر با ۱۱۹ کیلومتر بر ساعت یا بیشتر می‌وزند. این طوفان‌ها هر سال از ماه مه تا نوامبر کشورهای شرق و جنوب‌شرق آسیا را هدف قرار می‌دهند و اغلب باعث مرگ‌ومیر و ویرانی‌های گسترده می‌شوند. سرعت بادهای طوفان راگاسا که ماه سپتامبر جنوب چین را ویران کرد، با سرعت ۲۴۱ کیلومتر بر ساعت رسید.

تیفون‌ها یا همان طوفان‌های استوایی همان پدیده‌ی جوی هستند که در سایر نقاط جهان با نام هاریکن شناخته می‌شوند: هر دو طوفان‌های چرخنده‌ای هستند که انرژی خود را از هوای گرم می‌گیرند و تنها بسته به محل وقوعشان نام متفاوت دارند. اگر منشأ آن‌ها اقیانوس اطلس شمالی یا شمال‌شرق اقیانوس آرام باشد، به آن‌ها هاریکن گفته خواهد گردید؛ اما اگر از شمال‌غرب اقیانوس آرام نشأت بگیرند، تیفون نامیده می‌شوند.

ژو رونگهوا، مدیر آزمایشگاه انرژی بادی فراساحلی یانجیانگ، بیان می‌کند مناطقی از سواحل چین که سالانه چندینین بار با طوفان‌ها مواجه می‌شوند، از بهترین منابع بادی فراساحلی نیز برخوردارند و چالش اصلی ساخت مزارع بادی هست که بتوانند از انرژی طوفان‌ها نیز بهره‌برداری کنند. ژو بیان می‌کند: «مهم هست که توربین‌هایی که در این مناطق نصب می‌شوند، نه‌تنها در برابر طوفان‌ها مقاوم باشند، بلکه بتوانند از وزش‌های شدید باد پیش از رسیدن طوفان نیز بهره‌برداری نمایند.»

چیاو لیمینگ که در زمان مصاحبه با بی‌بی‌سی، مسئول ارشد استراتژی آسیا در شورای جهانی انرژی بادی (GWEC) قرار دارای بود، بیان می‌کند چین در خط مقدم تحقیقات، توسعه و بهره‌برداری تجاری از توربین‌های بادی مقاوم دربرابر طوفان‌ها قرار دارد. چیاو می‌افزاید: «دولت چین تصمیم استراتژیکی اتخاذ کرده هست تا انرژی بادی فراساحلی را به یکی از ستون‌های اصلی اهداف دوگانه کربن خود تبدیل کند.» این اهداف شامل کاهش تدریجی انتشار کربن و رسیدن به نقطه اوج آن پیش از سال ۲۰۳۰ و نیز رسیدن به وضعیت بی‌طرفی کربن تا پیش از سال ۲۰۶۰ هست.

به گفته سخنگوی شرکت گلدویند، تولیدکننده توربین‌های بادی چین، مزرعه بادی فراساحلی در چین به طور میانگین در طول عمر طراحی‌شده خود که معمولاً ۲۵ سال هست، حداقل ۱۰۰ طوفان را تجربه کند و فرو ریختن یک توربین بادی امکان داردد خطر جانی برای انسان‌ها ایجاد کرده و خسارات مالی سنگینی به همراه داشته باشد.

بلایای گذشته شدت این خسارات را نشان داده‌اند. در سال ۲۰۰۶، ابرطوفان سائومی استان ژجیانگ در شرق چین را در نوردید و بادهایی با سرعت تا ۲۴۵ کیلومتر بر ساعت به همراه دارای بود. این طوفان ۲۷ توربین در یک مزرعه بادی خشکی را نابود کرد که از این تعداد، پنج توربین به‌طور کامل فرو ریختند. این حادثه، خسارتی برابر با ۷۰ میلیون دلار به بار آورد.

در طول طوفان، تمام بخش‌های توربین تحت فشار شدید قرار می‌گیرند. پره‌ها در معرض شکستگی، ترک‌خوردگی و خرد شدن هستند، زیرا سرعت و جهت باد اغلب به‌طور ناگهانی و شدید تغییر انجام می‌دهد. برج توربین ممکن هست خم شود یا فرو بریزد و پایه آن که باید فشار ناشی از امواج طغیان‌کننده و جریان‌های سریع دریایی را نیز تحمل کند، در معرض تغییر شکل یا واژگونی قرار دارد. باران و صاعقه نیز امکان داردند به توربین‌ها آسیب برسانند.

هان یوجیا، پژوهشگر انرژی‌های تجدیدپذیر در مؤسسه گلوبال انرژی مانیتور (GEM) بیان می‌کند هنگامی که طوفانی درحال نزدیک شدن هست، توربین‌های مزرعه بادی معمولا ازطریق سیستم کنترل از راه دور خاموش می‌شوند. او بیان می‌کند بسیاری از توربین‌ها نیز قادرند به‌طور خودکار خاموش شوند. در این حالت، توربین‌ها با استفاده از ژنراتورهای داخلی دیزلی یا باتری‌های خود تغذیه می‌شوند. سیستم کنترل امکان واکنش‌هایی مانند تغییر جهت توربین یا تنظیم زاویه پره‌ها را امکان‌پذیر می‌سازد تا تأثیر طوفان به حداقل برسد.

به گفته شیاولی گُو لارسن، استاد بخش سیستم‌های باد و انرژی در دانشگاه فنی دانمارک، هم توربین‌های بادی خشکی و هم فراساحلی باید در مناطقی که در معرض این پدیده جوی قرار دارند، مقاوم در برابر طوفان باشند، اما این ویژگی برای توربین‌های فراساحلی اهمیت بیشتری دارد، زیرا طوفان‌ها در دریا بسیار قدرتمندتر هستند.

کپی لینک

ایستادگی در برابر طوفان

شرکت‌های بزرگ چینی با استفاده از ترکیبی از راهبردها مقاومت توربین‌های خود را افزایش داده‌اند. این اقدامات شامل توسعه مواد پیشرفته، بهبود قابلیت پیش‌بینی شرایط جوی و ارتقای سیستم‌های کنترل توربین‌ها خواهد گردید. به گفته هان، نمونه خوبی از این اقدامات، مدلی به نام OceanX هست که توسط گروه انرژی هوشمند مینگ‌یانگ چین تولید خواهد گردید.

اوشن‌ایکس با داشتن پایه‌ای شناور، از دو توربین پشتیبانی انجام می‌دهد. دلیل اصلی طراحی منحصربه‌فرد آن، افزایش توان خروجی سکوی بادی هست. دو توربین اوشن‌ایکس در مجموع امکان داردند با وجود داشتن سطح پره‌ای برابر با یک توربین واحد، حدود ۴٫۲۹ درصد برق بیشتری تولید کنند. علت آن هست که پره‌های دو توربین در کنار هم و در جهت‌های مخالف می‌چرخند، یکی در جهت ساعت‌گرد و دیگری در جهت پادساعت‌گرد، بنابراین باد بین آن‌ها سریع‌تر جریان می‌یابد و امکان تبدیل انرژی جنبشی هوا به انرژی الکتریکی بیشتر فراهم خواهد گردید.

مزرعه بادی در جنوب چین موفق گردید در زمان عبور طوفان برقی کافی برای تأمین نیاز بیش از ۲,۱۰۰ شهروند در طول یک سال تولید کند

به گفته وانگ چائو، طراح اصلی توربین، سکوی شناور طوری طراحی شده که در برابر طوفان‌ها مقاوم باشد و حتی در هوای خیلی بد هم تعادلش را حفظ کند. برای نمونه، پایه‌ی آن با طناب‌هایی از نقطه‌ای در زیر سازه به کف دریا وصل شده هست. این کار باعث خواهد گردید سکو بتواند راحت‌تر بچرخد و خودش را در جهت باد تنظیم کند. وانگ بیان می‌کند: «تا زمانی که توربین‌ها رو به سوی طوفان قرار داشته باشند، بار (نیروهایی) که متحمل می‌شوند کمترین مقدار هست و در امن‌ترین وضعیت قرار دارند.»

ویژگی دیگر، استفاده از بتن فوق‌العاده مقاوم در ساخت پایه اوشن‌ایکس هست. این بتن چهار برابر مقاوم‌تر از بتن معمولی هست و امکان داردد فشار بیش از ۱۱۵ مگاپاسکال، یعنی بیش از ۱٬۱۶۰ کیلوگرم بر سانتی‌متر مربع را تحمل کند.

مدل توصیف‌شده در سپتامبر ۲۰۲۴، درست چندین هفته پیش از برخورد ابرطوفان یاگی یعنی قوی‌ترین طوفان گرمسیری چین در دهه اخیر، در مزرعه بادی حدود ۷۰ کیلومتر دورتر از ساحل شهر یانجیانگ در گوانگ‌دونگ نصب گردید.

وانگ بیان می‌کند اوشن‌ایکس در منطقه‌ای از دریا قرار دارای بود که سرعت باد در آن به ۱۳۳ کیلومتر بر ساعت رسید و موفق گردید در برابر وزش شدید باد و امواج مقاوم بماند.

به گفته سخنگوی شرکت، در نزدیکی یکی از مناطق فرود طوفان یاگی، ۴۷ توربین بادی ساخت شرکت گلدویند در سواحل شهرستان شوئن گوانگ‌دونگ حداکثر سرعت باد ۱۶۱ کیلومتر بر ساعت را به مدت شش ساعت تحمل کردند. این توربین‌ها نیز توانستند در طول نه ساعت که طوفان یاگی از این منطقه عبور می‌کرد، در مجموع ۲٫۱ گیگاوات‌ساعت برق تولید کنند. این مقدار انرژی امکان داردد برق بیش از ۲,۱۰۰ شهروند چینی را برای یک سال تأمین کند.

گلدویند این موفقیت را ازطریق مجموعه‌ای از نوآوری‌ها شامل استفاده از مواد مقاوم‌تر مانند فیبر کربن و سیستم پیشرفته پایش که به کارکنان مزارع بادی امکان می‌دهد وضعیت توربین‌ها را به‌صورت لحظه‌ای بررسی کنند و بهترین تصمیم‌ها را اتخاذ کنند، به دست آورد.

چندین پژوهشگران می‌گویند توربین‌های فراساحلی باید بتوانند بادهای شدید طوفان را تا جایی که امن هست، استفاده کنند. در غیر این صورت، وقتی سرعت باد از ۸۸ کیلومتر بر ساعت که میانگین سرعت خاموش شدن توربین‌هاست، فراتر رود، توربین باید خاموش شود، در این صورت، مقدار زیادی انرژی پاک هدر می‌رود.

کپی لینک

برج‌های شکسته

طوفان‌های استوایی در اقیانوس‌های گرم نزدیک خط استوا شکل می‌گیرند و معمولاً به سمت غرب و قطب‌ها حرکت می‌کنند، بنابراین به ندرت اروپا را هدف قرار می‌دهند، هرچندین این قاره با طوفان‌های شدیدتر و شدیدتر مواجه خواهد گردید.

به گفته ژو، ایالات متحده هنوز مزرعه‌های بادی فراساحلی در مناطق آسیب‌پذیر در برابر هاریکن (طوفان گرمسیری در اقیانوس اطلس و شرق اقیانوس آرام) در جنوب را در مقیاس وسیع احداث نکرده هست. او اضافه انجام می‌دهد: «چین ممکن هست هم‌اکنون پیشرفته‌ترین فناوری‌های مقاوم در برابر طوفان گرمسیری برای توربین‌های بادی را در اختیار داشته باشد.»

این فناوری دارای بازار خانگی بسیار بزرگی هست. به گفته وانگ یوفان، تحلیلگر شرکت تحقیقاتی و مشاوره‌ای وود مک‌کنزی، در دهه آینده حدود ۱۷۰ گیگاوات ظرفیت جدید بادی فراساحلی، یعنی بیش از دو برابر کل ظرفیت بادی فراساحلی فعلی جهان به شبکه برق چین متصل خواهد گردید و حدود ۶۰ درصد از آن‌ها در مناطق مستعد طوفان قرار خواهند گرفت.

با این حال، حادثه‌های بزرگ هنوز رخ می‌دهند. در جریان طوفان یاگی، یک مزرعه بادی ساحلی در شهر ونچانگ استان هاینان به شدت آسیب دید. این ابرطوفان بادهایی با سرعت ۲۲۳ کیلومتر بر ساعت به همراه دارای بود. تصاویر پس از حادثه، خرابه‌های حدود هفت توربین شکسته را بر روی ساحل نشان می‌دهند و تمام برج‌های آن‌ها شکسته شده‌اند. چندینین پژوهشگر در مصاحبه با بی‌بی‌سی بیان داشتند که این توربین‌ها تازه نصب شده بودند و هنوز به شبکه برق متصل نشده بودند، بنابراین قادر نبودند در جریان طوفان یاگی تنظیمات لازم برای محافظت از خود را انجام دهند.

طوفان راگاسا در اواخر سپتامبر جنوب چین را درنوردید و طبق گزارش خبرگزاری دولتی چین، شین‌هوا، بیش از ۲٫۲ میلیون نفر در استان گوانگ‌دونگ به ناگزیر خانه‌های خود را ترک کردند. در یانجیانگ، با رسیدن طوفان راگاسا، دولت محلی ۱۶۷,۳۴۳ نفر را به مناطق امن منتقل کرد و ۱,۰۳۸ پناهگاه شهر را در اختیار ساکنان قرار داد.

در حالی که هنوز برای ارزیابی کامل تأثیر طوفان اخیر زود هست، به گفته خبرنگاران، حداقل پنج توربین بادی در این شهر فرو ریختند. طبق پیش‌بینی‌های شرکت بیمه مجدد اموال و حوادث چین، این فاجعه طبیعی که سه روز به طول انجامید، امکان داردد در بدترین سناریو، خسارتی اقتصادی تا ۴۶۸ میلیون یوان (۶۶ میلیون دلار) به مزارع بادی فراساحلی چین وارد کند.

به گفته وانگ، اوشن‌ایکس هنگام عبور طوفان راگاسا توانست حداکثر سرعت باد ۱۵۲ کیلومتر بر ساعت را تحمل کند. این طوفان ۱,۳۴۵ توربین بادی فراساحلی این شرکت در سه استان را تحت تأثیر قرار داد و تمامی آن‌ها به خوبی مقاومت کردند.

تیمی از کارشناسان گلدویند پنج روز پیش از رسیدن طوفا راگاسا، مسیر حرکت طوفان را با استفاده از سیستم هشدار زودهنگام توسعه‌یافته توسط خودشان پیش‌بینی کرده و برای هر یک از توربین‌های بادی تحت تأثیر این رویداد، طرح مقابله با طوفان تهیه کرده بودند. استراتژی پیشگیرانه به بیش از ۲۶۰ توربین بادی فراساحلی گلدویند کمک کرد تا با موفقیت از این رویداد جان سالم به در ببرند. این درحالی هست که در ۲۴ سپتامبر سرعت باد ظرف چندین ساعت ناگهان از ۶۸ به ۱۴۴ کیلومتر بر ساعت افزایش یافت و جهت باد در مدت ۱۵ دقیقه به میزان ۱۵۰ درجه تغییر کرد.

کپی لینک

توربین‌های به شکل درخت نخل

با افزایش علاقه به انرژی بادی فراساحلی، چالش‌ها نیز افزایش می‌یابند. یکی از این چالش‌ها، حفظ ایمنی توربین‌ها هست، زیرا پره‌ها بلندتر و بلندتر می‌شوند.

یکی از راه‌حل‌های ممکن استفاده از پره‌های پسا‌بادی (Downwind) هست، به این معنا که پره‌ها در پشت موتور قرار می‌گیرند و نه در جلوی آن، تا از توربین بهتر محافظت شود. پره‌های جلو‌بادی (Upwind) مرسوم در جلوی موتور قرار می‌گیرند تا رو به باد باشند. لوسی پائو، استاد دانشگاه کلرادو در بولدر بیان می‌کند زمانی که پره‌ها به این شکل نصب شوند، پره‌های بلند باید به اندازه کافی سخت باشند تا در بادهای شدید به عقب خم نشده و هنگام چرخش به برج برخورد نکنند. با‌این‌حال، سخت ساختن پره‌ها معمولاً نیاز به مواد گران‌قیمت دارد.

به گفته پائو و همکارانش، پره‌های جایگزین «پشت‌بادی» الهام‌گرفته از درختان نخل انعطاف‌پذیر اما مقاوم هستند و امکان دارد آن‌ها را با مواد کم‌هزینه‌تر ساخت. این پره‌ها در پشت موتور و رو به مخالف باد ثابت می‌شوند و امکان داردند تا شوند تا وزش‌های شدید باد را منحرف کنند. (توربین‌های اوشن ایکس مینگ‌یانگ دارای پره‌های پشت‌بادی هستند، اما قابلیت تا شدن ندارند.)

بسیاری از کارشناسان تجربه گسترده چین در ساخت توربین‌های مقاوم در برابر طوفان را برای سایر مناطق، مانند جنوب‌شرق آسیا، ارزشمند می‌دانند

هان بیان می‌کند، مشکل دیگر تشدید سریع طوفان‌ها هست. مقاله‌ای در سال ۲۰۲۳ نشان داد که تعداد طوفان‌های استوایی که در مناطق فراساحلی تا فاصله ۴۰۰ کیلومتر از ساحل به‌سرعت تشدید می‌شوند بین سال‌های ۱۹۸۰ تا ۲۰۲۰ سه برابر شده هست که علت آن تغییرات اقلیمی هست.

هان می‌افزاید که مزارع بادی و تولیدکنندگان توربین‌ها باید استراتژی‌های بهتری برای مقابله با این روند طراحی کنند. او نیز معتقد هست تولیدکنندگان باید قطعات قابل تعویض برای توربین‌های فراساحلی بسازند تا پس از آسیب دیدن، تعمیر آن‌ها آسان‌تر شود.

بااین‌حال، بسیاری از کارشناسان تجربه گسترده چین در ساخت توربین‌های مقاوم در برابر طوفان را برای سایر مناطق، مانند جنوب‌شرق آسیا، ارزشمند می‌دانند که علاقه‌مند به بهره‌برداری از انرژی بادی فراساحلی هستند اما هر سال با وزش‌های شدید طوفان مواجه می‌شوند.

چیاو از GWEC بیان می‌کند هر پروژه انرژی بادی باید شرایط باد ویژه محل نصب را در نظر بگیرد تا بتوان مدل توربین مناسب را انتخاب کرد. علاوه‌براین، بسیاری از مناطق آسیایی مستعد طوفان جزایر دورافتاده با شبکه‌های ضعیف و استانداردهای برقی متفاوت هستند، بنابراین پروژه‌های انرژی بادی باید با دقت برنامه‌ریزی شوند.

کارشناسان نیز نبرد مداوم صنعت باد فراساحلی با طبیعت را چالش مهندسی جذاب می‌دانند. لارسن بیان می‌کند: «طوفان‌های استوایی چالشی برای توسعه انرژی بادی هستند، زیرا امکان داردند بسیار مخرب باشند. اما درعین‌حال، فرصتی برای انسان‌ها فراهم انجام می‌دهد تا با استفاده از فناوری‌های نوین، توربین‌های نهایی را توسعه دهند که بتوانند در سخت‌ترین شرایط مقاومت کنند.»

تبلیغات


اشتراک گذاری

دیدگاه‌ها


ارسال دیدگاه